Cyclone
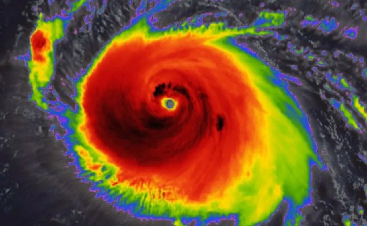
ଟୋକିଓ: ଚଳିତ ବର୍ଷର ସବୁଠାରୁ ବଡ଼ ବାତ୍ୟା ପୂର୍ବ ଚାଇନା ସମୁଦ୍ର ଦେଇ ସ୍ଥଳ ଭାଗକୁ ମାଡ଼ି ଆସୁଛି। ଏହି ବାତ୍ୟା ଜାପାନର ଦକ୍ଷିଣପୂର୍ବ ଦ୍ୱୀପପୁଞ୍ଜ ଗୁଡ଼ିକ ପ୍ରତି ବିପଦ ସୃଷ୍ଟି କରିଛି। ଏଥିସହ ଚାଇନାର ପୂର୍ବ ଉପକୂଳରେ ଥିବା ସହରଗୁଡ଼ିକ ପ୍ରତି ମଧ୍ୟ ବାତ୍ୟାର ବିପଦ ରହିଛି।
ଏହି ସୁପର ଟାଇଫୁନ ହିନ୍ନାମନୋର ପ୍ରଭାବରେ ବର୍ତ୍ତମାନ ସମୁଦ୍ର ମଧ୍ୟରେ ଘଣ୍ଟାପ୍ରତି ୨୫୭ କିମି ବା ୧୬୦ ମାଇଲ୍ସ ବେଗରେ ପବନ ବହିବାରେ ଲାଗିଛି। ଏହାର ଝଟକା ଘଣ୍ଟା ପ୍ରତି ୧୯୫ ମାଇଲ୍ସ ରହିଥିବା ଆମେରିକା ଜଏଣ୍ଟ ଟାଇଫୁନ ୱାର୍ଣ୍ଣିଂ ସେଣ୍ଟର ପକ୍ଷରୁ ସୂଚନା ଦିଆଯାଇଛି।
ହିନ୍ନାମନୋର ପ୍ରଭାରେ ସମୁଦ୍ର ଜୁଆର ୫୦ ଫୁଟ ବା ୧୫ ମିଟର ଉଚ୍ଚକୁ ଉଠିପାରେ। ଏହି ସୁପର ଟାଇଫୁନ ପ୍ରଭାବରେ ବହୁଥିବା ପବନକୁ ଦେଖି ଲୋକଙ୍କ ମନରେ ଛାନିଆ ପଶିଛି। ଲୋକଙ୍କ ଛାତି ଧଡ଼ଧଡ଼ ହେଉଥିବା ବେଳେ ଜାପାନ ମେଟ୍ରୋଲଜିକାଲ ଏଜେନ୍ସି ଏହାକୁ ୨୦୨୨ର ସବୁଠାରୁ ବଡ଼ ବାତ୍ୟାର ଆଖ୍ୟା ଦେଇଛି। ଯଦି ଏପରି ଅବସ୍ଥାରେ ବାତ୍ୟା ସ୍ଥଳ ଭାଗରେ ମାଡ଼ ହୁଏ, ତା’ହେଲେ ଭୟଙ୍କର କ୍ଷୟକ୍ଷତି ହେବାର ଆଶଙ୍କା ପ୍ରକାଶ ପାଇଛି।
ହଂକଂ ପାଣିପାଗ ବିଭାଗ କହିଛି ଯେ ଦିନ ୧୦ଟା ସୁଦ୍ଧା ଟାଇଫୁନଟି ଜାପାନର ଓକିନାୱ ଠାରୁ ୨୩୦ କିମି ଦୂରରେ କେନ୍ଦ୍ରଭୂତ ହୋଇଥିଲା। ଏହା ପଶ୍ଚିମ-ଦକ୍ଷିଣପଶ୍ଚିମ ଦିଗରେ ଘଣ୍ଟାପ୍ରତି ୨୨ କିମି ବେଗରେ ରୟୁକୟୁ ଦ୍ୱୀପପୁଞ୍ଜ ମହାଁ ହେଉଛି। ତେବେ ସ୍ଥଳ ଭାଗ କେବେ ପହଞ୍ଚିବ ସେ ବିଷୟରେ କୁହାଯାଇନି।
ଅନ୍ୟପକ୍ଷରେ ଆମେରିକା ଜଏଣ୍ଟ ଟାଇଫୁନ ୱାର୍ଣ୍ଣିଂ ସେଣ୍ଟର କହିଛି ଯେ ଏହି ସୁପର ଟାଇଫୁନ ଆଗାମୀ ଦିନରେ ସାମାନ୍ୟ ଦୁର୍ବଳ ହୋଇପାରେ। ତଥାପି ଏହାର ପ୍ରଭାବରେ ପବନର ଘଣ୍ଟାପ୍ରତି ବେଗ ୨୦୦ କିମି କିମ୍ବା ତା’ ଉପରେ ରହିବ।
ଏହି ସୂଚନା ପରେ ଜାପାନ ସରକାର ବାତ୍ୟାର ମୁକାବିଲା ପାଇଁ ପ୍ରସ୍ତୁତି ଆରମ୍ଭ କରିଛନ୍ତି। ଲୋକଙ୍କୁ ସତର୍କ ରହିବାକୁ ମଧ୍ୟ କୁହାଯାଇଛି। ଏହା ସ୍ଥଳ ଭାଗର ନିକଟବର୍ତ୍ତୀ ହେଲେ ଉପକୂଳବାସୀଙ୍କୁ ସ୍ଥାନାନ୍ତର କରିବାକୁ ମଧ୍ୟ ସରକାର ଲକ୍ଷ୍ୟ ରଖିଛନ୍ତି।
/odisha-reporter/media/agency_attachments/2025/09/10/2025-09-10t082211800z-640x480-or-sukant-rout-2025-09-10-13-52-11.png)
Follow Us/odisha-reporter/media/post_attachments/uploads/2022/08/Cyclone.jpg)